Kartoffelanbau im Biogarten

Inhaltsverzeichnis
Kartoffeln gehören wie auch Tomaten, Auberginen, Paprika und Andenbeeren zur Familie der Nachtschattengewächse und haben ihren Ursprung in Südamerika. Sie sind ein wunderbares, lange lagerfähiges Gemüse, welches nach Möglichkeit jeder Gärtner im Garten anbauen sollte.
Das Vorkeimen
Kartoffeln werden am besten vorgekeimt, weil sie dann einen Wachstums Vorsprung von mindestens 2 Wochen haben und der gefürchteten Kartoffelkrankheit Braunfäule besser widerstehen können. Sehr gut geht das Vorkeimen in Kisten, in welche die Knollen dicht nebeneinander und einlagig gelegt werden. Dann werden sie bei einer Temperatur von ca. 15°C ans Licht gestellt. Vermeide dabei allerdings direktes Sonnenlicht. Die Knollen sind besonders gut gekeimt, wenn der Keim gedrungen und nicht zu lang und dünn gewachsen ist. Je weniger Licht sie beim Keimen haben, desto dünner und zerbrechlicher wachsen die Keime auf der Suche nach Licht.
Dicke, kurze und oft leicht lila oder rosa gefärbte Keime sind optimal, weil sie beim Pflanzen nicht so schnell abbrechen. Dieses Vorkeimen geschieht am besten 4 Wochen vor dem Legen der Kartoffeln. In milden Gegenden können sie schon Anfang April in den Boden gebracht werden, am besten allerdings unter Vlies. Das Laub der Kartoffeln ist sehr frostempfindlich und falls noch einmal kalte Tage oder Nächte kommen, wird es absterben. Zum Glück treiben dann neue Augen aus, aber der Vorsprung ist dahin.
Meine Lieblingssorte ist Linda und ich bestelle einen Teil meiner Saatkartoffeln bei Ellenbergs’s Kartoffelvielfalt.
Die Bodentemperatur
Die Bodentemperatur sollte mindestens 6°C betragen, sind die Kartoffeln nicht vorgekeimt, dann sogar 8°C. In vielen Gegenden ist es dann schon Ende April/Anfang Mai. Gut ist es auch, die schon vorgekeimten Knollen einige Tage vor dem Legen abzuhärten. Dies geschieht tagsüber im Freien, bitte nicht vergessen, sie nachts wieder rein zu holen. Vergesslichkeit kommt vor und ist mir schon mit Tomaten so passiert. 🙁
Tipp für alle Fälle: Ein Schild an den Badezimmerspiegel kleben!
Für Kartoffeln ist ein leichter-mittelschwerer Boden gut geeignet, während ein schwerer Boden mit schlechter Belüftung die Anfälligkeit für Krankheiten verstärkt. Sie lieben warme Böden, daher gedeihen sie gut auf Sandboden oder sandigem Lehmboden. Zur Vorbeugung gegen bodenbürtige Krankheiten sollten Kartoffeln nur alle 4 Jahre an denselben Standort gesetzt werden. Gut bekommt ihnen eine mittlere Gabe von Kompost oder Stallmist, der gut verrottet sein muss. Nicht zu stark düngen, sonst sorgt der hohe Stickstoffgehalt für vermehrte Krankheiten und die Kultur wird anfällig.
Auch der Geschmack und die Lagerfähigkeit würden leiden. Den Kompost oder abgelagerten Mist bringst Du am besten schon einige Wochen vorher auf das Kartoffelbeet aus. Gib niemals frischen Stallmist auf das Beet, sonst sprichst Du eine direkte Einladung an die Kartoffelkäfer aus. Auch Bokashi-Pellets sind als Dünger sehr gut geeignet.

Ich habe bisher noch kein Allheilmittel gegen den Kartoffellkäfer gefunden. Es gibt Anbaujahre, da tritt er extrem stark auf, dann wieder ist auch mal ein Jahr dabei, wo es zu relativ geringem Befall kommt. Es ist hilfreich, der Käfer Vorhut das Festessen weniger schmackhaft zu machen, indem Du das Laub sehr bald mit Gesteinsmeht leicht einstäubst. Das verdirbt ihnen für eine gewisse Zeit den Appetetit und vielleicht fliegen sie dann zum Nachbarn, um dort zu kosten, ob dessen Kartoffel Blätter nicht ein wenig weicher sind? 🙂
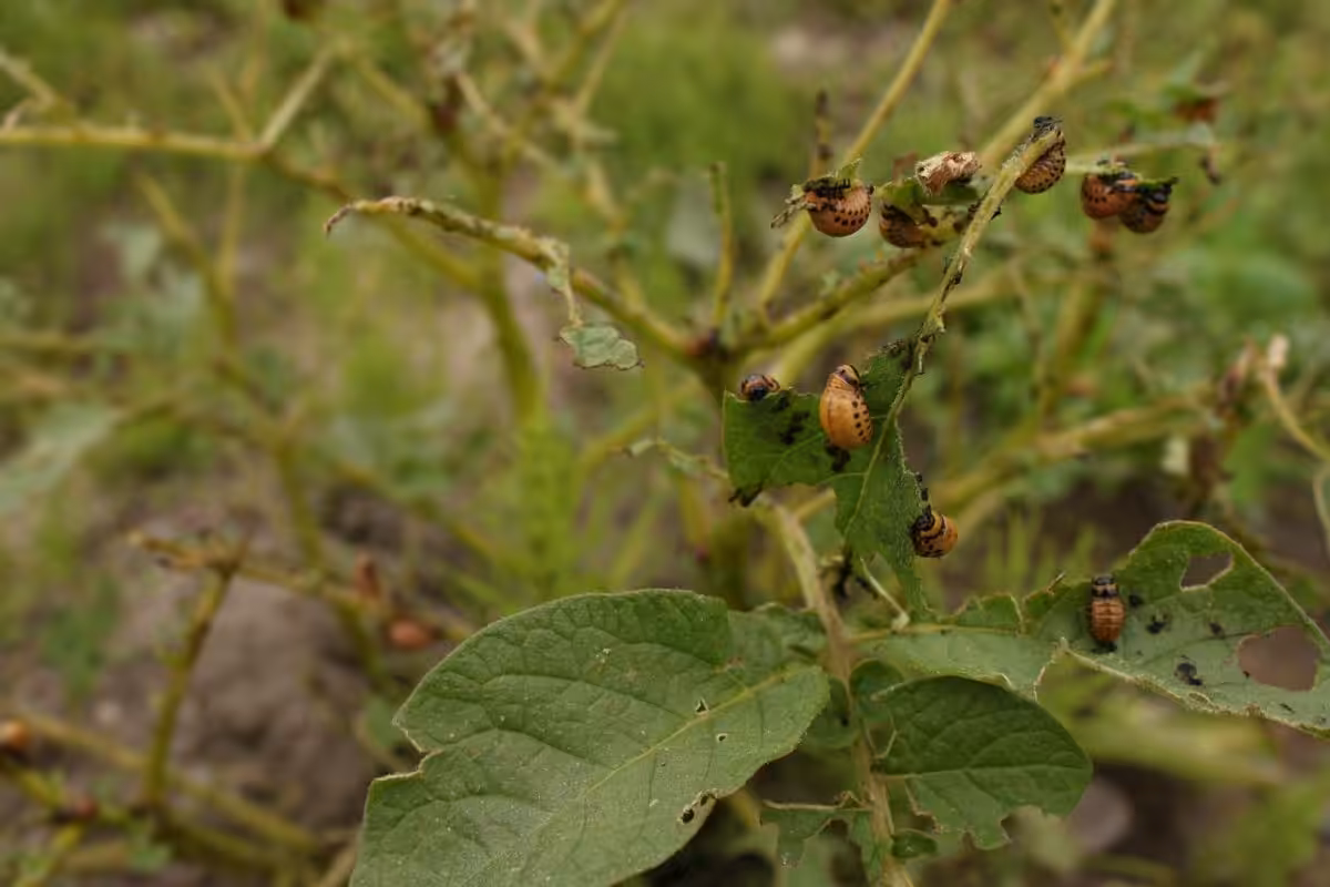
Wichtig ist, dass die Reihen schon gleich nach dem Auflaufen sorgfältig auf die allerersten Käfer abgesucht werden. Gleich zu Anfang ist das Absammeln noch am effektivsten, da es einige Tage dauert, bis sich die Käfer zur Paarung finden. Sind die Eier erst einmal gelegt und es wird nicht abgesammelt, dann kann der Bestand in ganz kurzer Zeit so wie auf dem folgenden Foto aussehen.

Wenn die Pflanzen schon so weit befallen sind, dann ist das Absammeln äußerst mühsam.
Das Legen und Anhäufeln der Knollen
Eine rasche Erwärmung des Bodens und ein gutes Abtrocknen der Erde nach ergiebigem Regen ist besonders vorteilhaft. Dies wird unterstützt durch das sogenannte „Anhäufeln“ der Kartoffeln. Entweder Du ziehst mit der Kartoffelhacke von beiden Seiten der Pflanzreihe die Erde zu einem Damm von ca. 20 cm hoch. Dort hinein kommen die vorgekeimten Knollen, indem Du in den Damm im Abstand von 35 cm jeweils ein Loch mit der Handschaufel gräbst und die Kartoffel vorsichtig hinein legst. Dann das Loch mit Erde zuschütten. Der Vorteil dieser anfänglich aufwändigen Methode ist das Erledigen in einem Arbeitsgang, weil es recht leicht passieren kann, dass du die schon wachsenden Kartoffeln beim späteren Anhäufeln wieder frei legst. Ich mache das Anhäufeln immer sofort und genieße dann das gute Gefühl von getaner Arbeit.

Die andere Art besteht darin, eine Rille von ca. 10 cm mit der Kartoffelhacke zu ziehen und dort hinein die Kartoffeln zu legen. Die Rille wird vorsichtig zugeschüttet und auch entweder wieder sofort angehäufelt oder aber erst später, wenn das Kraut ca. 15 cm hoch ist. Hierbei braucht es allerdings einiges Geschick, da es manchmal passiert, dass die Saatkartoffel im Eifer des Anhäufelns wieder verzogen wird.
Wenn Du mehrere Reihen Kartoffeln anbaust, sollte der Reihenabstand zwischen 50 und 70 cm betragen. Weniger ist nicht empfehlenswert, weil Du noch mehrmals zwischen den Reihen arbeiten wirst. Vielleicht suchst Du auch mal den einen oder anderen Kartoffelkäfer? 😉

Die weitere Pflege der Kartoffeln
Junge Kartoffeln brauchen vor allen Dingen Sonne, daher wird das Beikraut 1-2 Mal sorgfältig entfernt. Später ist das Kartoffellaub so üppig, dass Beikräuter keinen Schaden mehr anrichten. Während einer Trockenperiode muss auch gegossen werden, ansonsten kommen sie vergleichsweise gut mit wenig Wasser aus. Sobald die Kartoffeln geblüht haben, ist die Wasserversorgung in einer trockenen Phase besonders wichtig, da nach der Blüte das Knollenwachstum beginnt. Wenn in dieser Phase kein Regen fällt, solltest Du zusätzlich gießen, sonst verringert sich der Ertrag. Das Gießen erfolgt am besten morgens und nicht mit dem Schlauch, damit das Laub nicht zu nass wird. Würden die Kartoffeln mit feuchtem Laub in die Nacht gehen, erhöht sich die Anfälligkeit für Krankheiten.
Der zweite Grund, warum Du vielleicht noch innerhalb der Reihen arbeiten wirst, könnten auftretende Kartoffelkäfer sein. Es hat einen großen Einfluss, ob in der Nachbarschaft noch mehr Kartoffeln angebaut werden, dann ist die Wahrscheinlichkeit eines Befalls höher.
Frühkartoffeln
Frühkartoffeln sind dann erntereif, wenn sich die Schale nicht mehr durch Reiben lösen lässt. Um das zu Testen, kannst Du ab Juni vorsichtig nach einem Kartoffelnest graben, ich gönne mir dieses Vergnügen mit der bloßen Hand! Wer mit der Grabegabel arbeitet, muss gut aufpassen, sonst passiert leicht dieser Schaden: Erwischt!

Lagerkartoffeln sind erntereif, wenn das Laub abgestorben ist. Das variiert je nach Sorte erheblich, auch das Wetter hat einen großen Einfluss. Meistens ist der richtige Termin ab September bis Oktober. Auch wenn das Laub schon verwelkt ist, macht es für bessere Lagereigenschaften Sinn, die Kartoffeln noch 1-2 Wochen im Boden zu lassen. Dann reift die Schale besser aus und sie halten länger im Lager.
Die Lagerung
Kartoffeln müssen kühl und dunkel gelagert werden, sonst bekommen sie durch zuviel Licht grüne Stellen. Dort lagert sich das giftige Solanin ein. Im Keller ist die optimale Lagertemperatur 4-6°C. Damit sie nicht doch zuviel Licht abbekommen, kannst Du sie noch zusätzlich mit Jutesäcken oder lockerem Stroh abdecken, falls der Keller nicht ganz dunkel ist. Holzkisten sind für die Lagerung gut geeignet, ich benutze auch oft gebrauchte Pappkisten für Obst, die ich aus dem Supermarkt mitnehme.
Insidertipp für Braunfäule geplagte Gärtner
Eine sehr widerstandsfähige Sorte ist Sarpo Mira. Unter Kartoffelfreunden ist sie vor allem dadurch bekannt, dass sie unglaublich lange der Braunfäule trotzt. Während die gute Linda schon längst dahingerafft wurde, stand Sarpo Mira bei einigen Nachbarn noch wie eine eins mit sattgrünem Laub.
Wo ist der Haken dabei? Sie ist geschmacklich nur im Mittelfeld anzusiedeln, aber vielleicht gilt hier für manchen Leser:
Lieber Sarpo Mira in der Hand, als die Braunfäule im Land!
Sarpo Mira hat noch eine Besonderheit: Sie neigt dazu, extrem große Knollen auszubilden. Das wäre für einige von uns vielleicht gar kein Nachteil, aber diese riesengroßen Knollen haben die Neigung zur Hohlherzigkeit, die im Lager dann oft in Braunherzigkeit übergeht. Das Schadbild sieht so aus, dass die Mitte der Knolle mehr oder weniger hohl ist. Bei der Riesengröße könnte man das verschmerzen, indem man die hohle Stelle einfach großzügig entfernt. Leider geht dies aber im Lager oft in eine braune Mitte über, die zum Faulen neigt.
Was dagegen tun?
Achte darauf, dass Du die Pflanzabstände eher ein bisschen zu klein wählst. Wenn Sarpo Mira Platz hat, dann nutzt sie diesen auch ganz radikal aus und wird so riesig. Daher lieber ein bisschen enger setzen! Wenn dann im September das Kraut noch komplett grün und üppig wächst, dann grabe mal ein Nest aus und beurteile die Größe. Wenn sie ok ist, dann kannst Du ab dann das Kraut kappen, dann wachsen sie nicht mehr weiter, reifen aber trotzdem im Boden nach.
Nun wünsche ich Dir einen erfolgreichen Anbau Deiner Lieblingssorte und eine üppige Ernte!

 
								
11 Kommentare
Liebe Astrid,
Vielen Dank für den wieder sehr interessanten Artikel über den Kartoffelanbau. Wie immer gibt es immer noch etwas, was man lernen kann.
Hallo liebe Gabi,
dankeschön für Dein Feedback, es freut mich, dass noch hilfreiches für Dich dabei ist.
Hallo Astrid, wieder einmal ein sehr interessanter Artikel. Ich habe sehr gute Erfahrungen gegen den Kartoffelkäfer mit Tages gemacht. Dazu sammle ich im Herbst Tagetestauden im Garten und auch auf öffentlichen Grünabfall-Sammelstellen schneide sie klein und streu das als Mulch auf den Kartoffelacker. Gegen die Braunfäule spritze ich mit Schachtelhalm Brühe. Ausserdem habe ich festgestellt, dass es Kartoffelsorten gibt die ich nicht zu häufeln brauche. “Prinzess” eine sehr gute festfleischige Sorte.
Hallo Eleonora,
dankeschön für die guten Tipps. Den Tipp mit den Tagetes kannte ich noch nicht, das ist auf jeden Fall einen Versuch wert. Zwar habe ich jetzt natürlich kein Material gesammelt, aber ich werde in regelmäßigen Abständen Tagetes zwischen die Kartoffeln setzen, mal schauen, ob das ein auch hilft.
Danke Astrid,
für den Krumbern- Kommentar.
Hab gleich mal die Linda bei Ellenberg’s bestellt.
Freue mich schon.
Gruß Horst
Hallo Horst,
sind Krumbern dasselbe wie Kartoffeln? Mit Linda hast Du etwas gutes bestellt, ganz egal in welchem Dialekt!
Gruß Astrid
Hallo Astrid!
In vielen Garten- und landwirtschaftlicher Literatur ist zu lesen, dass der Nachbau der Kartoffeln nur ein oder zwei Jahre funktioniert, dass sich sonst die Krankheiten der Kartoffeln im Saatgut verfestigen und die Sorten degenerieren. Die Frage die sich mir damit gestellt hat ist: und wie haben das die Großeltern und Urgroßeltern gemacht ohne Saatgutindustrie gemacht?
Sie haben selektiert und geäugelt. Was man unter Kartoffeln äugeln versteht, habe ich hier http://holzgasjournal.de/download/322/ beschrieben.
Leider hatten wir im April 2017 eine Kältewelle und ich war in der Zeit beruflich einige Tage unterwegs. Sie haben die -9°C ohne Abdeckung nicht überstanden! Das hat mich schon sehr geärgert! 🙁
Aufgeben gilt nicht. Die neue geäugelte Saat ist schon wieder vorbereitet und wartet auf frostfreien Boden.
Hallo Hans,
Danke für Deinen tollen Bericht, er ist sehr interessant zu lesen. Ich hätte es auch sehr bedauert, wenn der Frost dieses Experiment zerstört hätte. Du kannst Dich ja am Ende der Saison noch einmal melden, wie es diesmal funktioniert hat. Liebe Grüße, Astrid
Lieber Horst,
vielen Dank für diesen Tipp, den ich sehr gut gebrauchen kann, da ich hier keine Saatkartoffeln kaufen kann.
Dieses Pflanzgerät ist ja super, werde wohl so etwas mit einen Nachbau versuchen. Die Zollformalitäten sind so schlimm, dass ich mir nichts schicken lassen kann. Liebe Grüße Sabine
Hallo Astrid, habe Dich sowohl zu Gartenheldinnen als auch zum Gartenblog Cluster eingeladen.
LG Kathrin
Hallo Kathrin,
das ist wunderbar, ich danke Dir vielmals,
Liebe Grüße,
Astrid